Treatments + Services
At Pure MedSpa, we offer a comprehensive range of services designed to enhance your natural beauty and wellness. Our expert team is dedicated to providing personalized care in a relaxing environment. Experience state-of-the-art treatments that cater to your unique needs, ensuring you look and feel your best.
Facials
Give yourself a lift. We offer a selection of cutting-edge skin and body treatments engineered to remodel your skin on a very deep level.

Facials
Give yourself a lift. We offer a selection of cutting-edge skin and body treatments engineered to remodel your skin on a very deep level.
Laser Services
Reveal smooth, radiant skin with our advanced laser treatments — from permanent hair reduction to skin rejuvenation that targets acne scars, pigmentation, and more.

Laser Services
Reveal smooth, radiant skin with our advanced laser treatments — from permanent hair reduction to skin rejuvenation that targets acne scars, pigmentation, and more.
Real 5-Star Google Reviews
Hear from our amazing clients
“Recently visited for the platinum hydrafacial and also laser hair removal. Loved the cozy aesthetics of this medspa and my experience with Nicole! The hydrafacial was relaxing and made my skin feel so refreshed and glowy. The laser was painless. I'm excited to return for more services!”
Monica Hooser
Google Review
“Nicole was phenomenal! I got a fire and ice facial. She explained every product in detail and was so knowledgeable. Atmosphere 11/10, staff super welcoming. I left with glowing, glass-like skin. Highly recommend!”
Angelina Ostap
Google Review
“I’m very acne prone but decided to try a facial with Nicole. My pores look nonexistent, my skin feels super smooth, and my makeup went on beautifully! Zero breakouts, I’m a happy girl :) I’ll 100% be adding Hydrafacials to my routine. Highly recommend!”
Tuva Chaudhry
Google Review
“Had the absolute BEST facial done by Nicole! I have rosacea and very sensitive skin. She used products that did not irritate me. My skin has NEVER looked better. Redness decreased, skin feels tight yet moisturized. 10/10 recommend!”
A Lawton
Google Review
“I came here for my first facial experience and Mikenna was fantastic! She helped me learn about skincare routines and created such a welcoming environment. The space is beautiful and relaxing. I'll be coming back!”
Teresa Schaaf
Google Review
“Mikenna was amazing! She made microneedling so comfortable and stress-free. My skin already feels incredible! My mom and aunt also had treatments and loved them. Mikenna gave each of us the same level of care and attention. We’ll definitely be back!”
Savannah Roberts
Google Review
“My first facial experience with Nicole was fantastic! She was so friendly and made me feel so comfortable. Highly recommend!”
Alyssa Hagberg
Google Review
“Mikenna is amazing! I got my first microneedling treatment done and she walked me through each step. One day in and I am GLOWING!”
Ruby Mensing
Google Review
“I got the Premium Hydrafacial today with Mikenna and it was FABULOUS. My skin is gloooowing. The clinic is beautiful, clean, and peaceful. I’m coming back for laser treatments before my wedding! Dr. Rusul is extremely talented and smart. Thank you Pure!”
Sarah Palmer
Google Review
“Outstanding experience! My Hydrafacial with Mikenna was exceptional, leaving my skin deeply cleansed, refreshed, and radiant. Without a doubt, this is the finest skincare facility I have ever visited. Highly recommend!”
Maryam Mk
Google Review
“It was my first time at Pure MedSpa and this place is INCREDIBLE! Nicole was friendly, informative, and professional. Dr. Rusul is superb. The space is relaxing and beautiful. Highly recommend this spa!”
Sundus Al ani
Google Review
“I had a laser hair removal session for my cheeks and I’m so happy with the results! The staff was professional and kind, the treatment was quick and almost painless, and my skin already feels smoother. Highly recommend!”
Rami Jehad
Google Review
The Story of Pure MedSpa: A Journey of Beauty, Healing, and Heart
Welcome to Pure MedSpa, where your journey to beauty and well-being is embraced with care, dedication, and a personal touch. Born from a family’s dream and a shared passion for both healing and aesthetics, Pure MedSpa is more than just a place for treatments—it’s a sanctuary where you are treated like family.

Why Choose Pure MedSpa
At Pure MedSpa, we are dedicated to delivering the highest quality of care along with outstanding results. Here's what makes us unique:
Highly Rated
5-Star Reviews - Happy and satisfied clients all around
No long wait times
Efficient scheduling and service
Expert Care
Professional and experienced staff
High Tech Tools
State-of-the-art equipment and procedures
Personalized Experience
Customized treatments for your needs
No upcharge or hidden fees
Transparent pricing
Supportive Atmosphere
A Space where you feel valued
Luxury Experience
Exceptional service in a relaxing environment
Competitive Pricing
Great value for top-quality services
Real Results
Microneedling Treatment
Improves skin texture and reduces fine lines using the advanced Exceed Microneedling system.

Results after 1 treatment session
Individual results may vary. Photos are unretouched.
Laser Skin Resurfacing
Advanced FraxPro laser technology to reduce age spots, sun damage, and wrinkles.

Results after 3 treatment sessions
Individual results may vary. Photos are unretouched.
Chemical Peel Facial
Enhances skin tone and clarity by removing surface imperfections.

Results after 2 treatment sessions
Individual results may vary. Photos are unretouched.
Stretch Mark Reduction
Targets stretch marks for smoother, even-toned skin using FraxPro laser technology.

Results after 3 treatment sessions
Individual results may vary. Photos are unretouched.
Hyperpigmentation Treatment
Reduces dark spots and pigmentation irregularities with FraxPro laser technology.

Results after 3 treatment sessions
Individual results may vary. Photos are unretouched.
HydraFacial
Deep cleansing, hydration, and rejuvenation for a glowing complexion.

Results after 1 treatment session
Individual results may vary. Photos are unretouched.
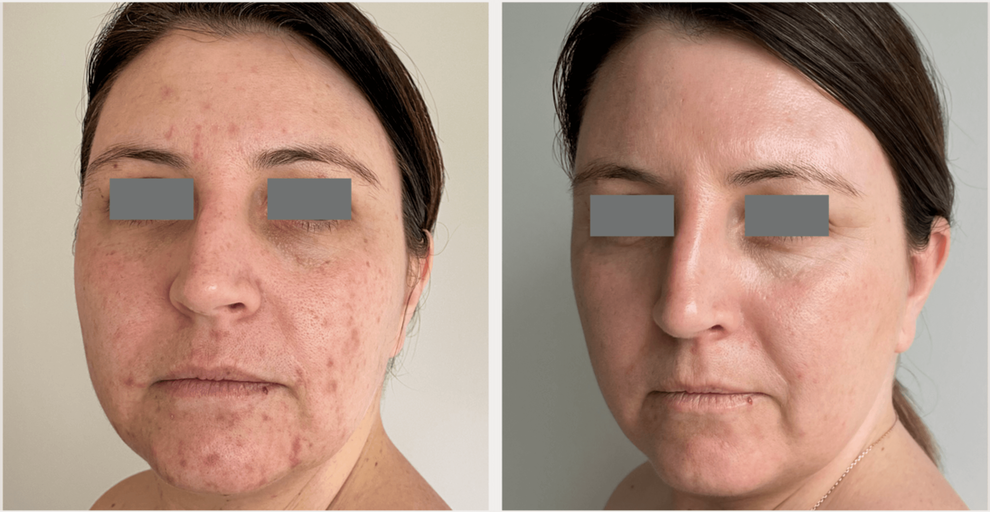
Acne Scar Treatment
Reduces acne scars and promotes collagen production using microneedling.

Results after 3 treatment sessions
Individual results may vary. Photos are unretouched.
Scar Treatment
Minimizes the appearance of scars with the FraxPro fractional laser.

Results after 3 treatment sessions
Individual results may vary. Photos are unretouched.
Skin Tightening
Firms and tightens skin using ClarityII laser technology.

Results after 3 treatment sessions
Individual results may vary. Photos are unretouched.
Hair Removal
Permanent hair reduction using the advanced ClarityII laser.

Results after 6 treatment sessions
Individual results may vary. Photos are unretouched.
Wrinkle Reduction
Smooths fine lines and wrinkles with FraxPro laser technology.

Results after 3 treatment sessions
Individual results may vary. Photos are unretouched.
Oxygen Facial
Revitalize your skin with pure oxygen and nutrient-rich serums for deep hydration.

Results after 1 treatment session
Individual results may vary. Photos are unretouched.
LED Skin Phototherapy Facial
Uses light therapy to reduce inflammation, treat acne, and rejuvenate the skin.

Results after 1 treatment session
Individual results may vary. Photos are unretouched.
Book a Free Consultation Now
In-Person or Virtual
Questions & Answers
Get answers to common questions about our treatments and services.

